Τυφώνας Μελίσσα: Κόκκινος συναγερμός στην Τζαμάικα, ήδη τρεις νεκροί
Πολλοί κάτοικοι αψηφούν τις οδηγίες των Αρχών και δεν εγκαταλείπουν τις εστίες του
Τρεις άνθρωποι έχουν ήδη χάσει τη ζωή τους στην Τζαμάικα, καθώς ετοιμάζεται για την άφιξη του τυφώνα Μελίσσα, του ισχυρότερου φέτος στον κόσμο.
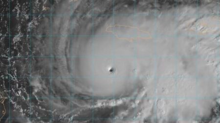
Πρόκειται για τον ισχυρότερο τυφώνα που έχει καταγραφεί ποτέ στη Τζαμάικα, με Αμερικανούς μετεωρολόγους να προειδοποιούν για «καταστροφικές και απειλητικές για τη ζωή» συνθήκες.
Με ταχύτητες ανέμων έως και 282 χλμ./ώρα, ο τυφώνας Μελίσσα αναβαθμίστηκε σε κατηγορία 5 – τη μέγιστη στην κλίμακα Σαφίρ-Σίμπσον- και αναμένεται φτάσει στο νησί της Καραϊβικής νωρίς την Τρίτη.
Ο τυφώνας έχει ήδη προκαλέσει τέσσερις θανάτους στην Αϊτή και τη Δομινικανή Δημοκρατία, εκτός από τις ζωές που χάθηκαν στην Τζαμάικα. Οι ειδικοί προειδοποιούν ότι ο αργός ρυθμός του Μελίσσα μπορεί να σημαίνει παρατεταμένες καταρρακτώδεις βροχές σε ορισμένες περιοχές, αυξάνοντας τον κίνδυνο θανατηφόρων πλημμυρών και κατολισθήσεων.
Φόβοι για σημαντικές καταστροφές στη δυτική Τζαμάικα
Ο πρωθυπουργός Άντριου Χόλνες προειδοποίησε για τον κίνδυνο πρόκλησης σημαντικών καταστροφών, ιδίως στο δυτικό τμήμα της χώρας. «Δεν νομίζω ότι καμία υποδομή σε αυτήν την περιοχή μπορεί να αντέξει έναν τυφώνα Κατηγορίας 5, επομένως ενδέχεται να υπάρξουν σημαντικές καταστροφές», είπε στο CNN, προτρέποντας τους κατοίκους να βρίσκονται σε επαγρύπνηση για να προστατεύσουν τις οικογένειές τους, εκκενώνοντας περιοχές που διατρέχουν τον μεγαλύτερο κίνδυνο.
Ωστόσο, πολλοί κάτοικοι αψηφούν τις οδηγίες των Αρχών και δεν εγκαταλείπουν τις εστίες τους. «Απλώς δεν θέλω να φύγω», δήλωσε στο Γαλλικό Πρακτορείο Ειδήσεων (AFP) η Τζένιφερ Ραμντάιαλ, η οποία ασχολείται με την αλιεία στο Πορτ Ρόιαλ, μια μικρή ιστορική πόλη κοντά στην πρωτεύουσα Κίνγκστον.
Melissa is just breathtaking, meteorologically speaking. If only it was not in its current location. 🙏 🇯🇲 pic.twitter.com/8joLkExDDm
— Florida Tropics (@FloridaTropics1) October 27, 2025
«Ακόμη κι αν ήταν… Κατηγορίας 6, δεν θα έφευγα», είπε ο Ρόι Μπράουν, υδραυλικός και πλακάς, αν και η κλίμακα Σαφίρ-Σίμσον είναι πεντάβαθμη. Εξήγησε ότι πολλοί κάτοικοι έχουν αρνηθεί να εγκαταλείψουν τις εστίες τους λόγω της άσχημης εμπειρίας που είχαν παλιότερα σε καταφύγια που είχαν στήσει οι αρχές.
Ο τελευταίος ισχυρός τυφώνας που σάρωσε την Τζαμάικα ήταν ο Γκίλμπερτ τον Σεπτέμβριο του 1988, που στοίχισε τη ζωή σε 40 ανθρώπους και προκάλεσε εκτεταμένες καταστροφές σε όλη τη χώρα. Έκτοτε, η νήσος έχει πληγεί από αρκετούς τυφώνες, με πιο πρόσφατο τον Μπέριλ τον Ιούλιο του 2024. Απρόσμενα ισχυρός για την εποχή, άφησε πίσω τουλάχιστον τέσσερις νεκρούς.
Εκκενώθηκε μέρος του προσωπικού της αμερικανικής βάσης στο Γκουαντάναμο
Καθώς ο τυφώνας Μελίσα πλησίαζε απειλητικά, οι αρχές της Τζαμάικας έκλεισαν τα λιμάνια και το διεθνές αεροδρόμιο της πρωτεύουσας. Ο τυφώνας απειλεί επίσης τις ανατολικές ακτές της Κούβας, τις νότιες Μπαχάμες και τα νησιά Τερκς και Κέικος.
Στην αναμενόμενη πορεία του τυφώνα είναι και η αμερικανική ναυτική βάση του Γκουαντάναμο στην ανατολική Κούβα.
Το Πολεμικό Ναυτικό των ΗΠΑ έχει πλέον μετακινήσει περίπου χίλια άτομα από το μη απαραίτητο προσωπικό από τη βάση, αλλά περί τα 3.000 άτομα παρέμειναν στη βάση τη Δευτέρα. Το Γκουαντάναμο προσφέρει καταφύγια για τυφώνες, προμήθειες έκτακτης ανάγκης και υποδομές για την παροχή νερού και ρεύματος, σύμφωνα με αμερικανικά μέσα ενημέρωσης. «Παρακολουθούμε πολύ στενά την πρόοδο της καταιγίδας και λαμβάνουμε όλα τα απαραίτητα μέτρα για να διασφαλίσουμε την ασφάλεια του προσωπικού μας και την ετοιμότητα των βάσεων μας», δήλωσε ο διοικητής Τζον Χιούιτ.
